Local real estate rules require that you sign in to view sold property information.
Listed by Miller Realty Group Inc..
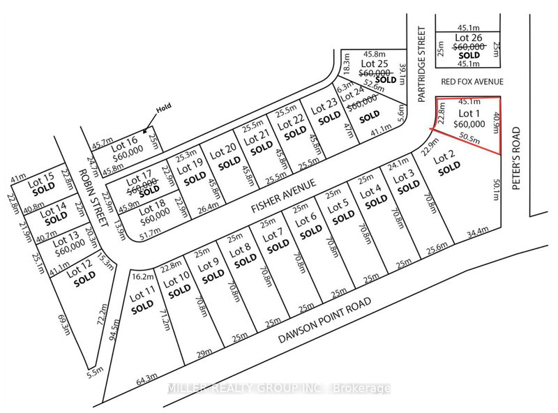
Lot 18 Robin Street is a Vacant Land, Other and is currently for Sale @ $60,000. Taxes in 2026 were $874.24.
More homes for sale under 100k in Temiskaming Shores
Prime building lots located on newly developed Boreal subdivision. The Other on Lot 18 Robin Street has 0 bedrooms, 0 bathrooms, and is located on a 149.78 x 52.5 ft loton < .50 acres in the community of New Liskeard . Along Dawson Point Road, near Lake Temiskaming, this new residential neighbourhood is the perfect spot to build your dream home. Near secondary French school and elementary school, and quick zip over to Hwy 65 and the big box stores in Dymond. Email us for more information!
The address Lot 18 Robin Street was listed for sale (MLS# T12951230) on Wednesday, April 01, 2026.