By

CALL
TOUR PROPERTY
×

624-LT1 DAYTONA Drive in Fort Erie for sale

Asking price
$290,000
MLS #:
X12943276
Type:
Vacant Land, Other
Approx. SQFT:
< 700
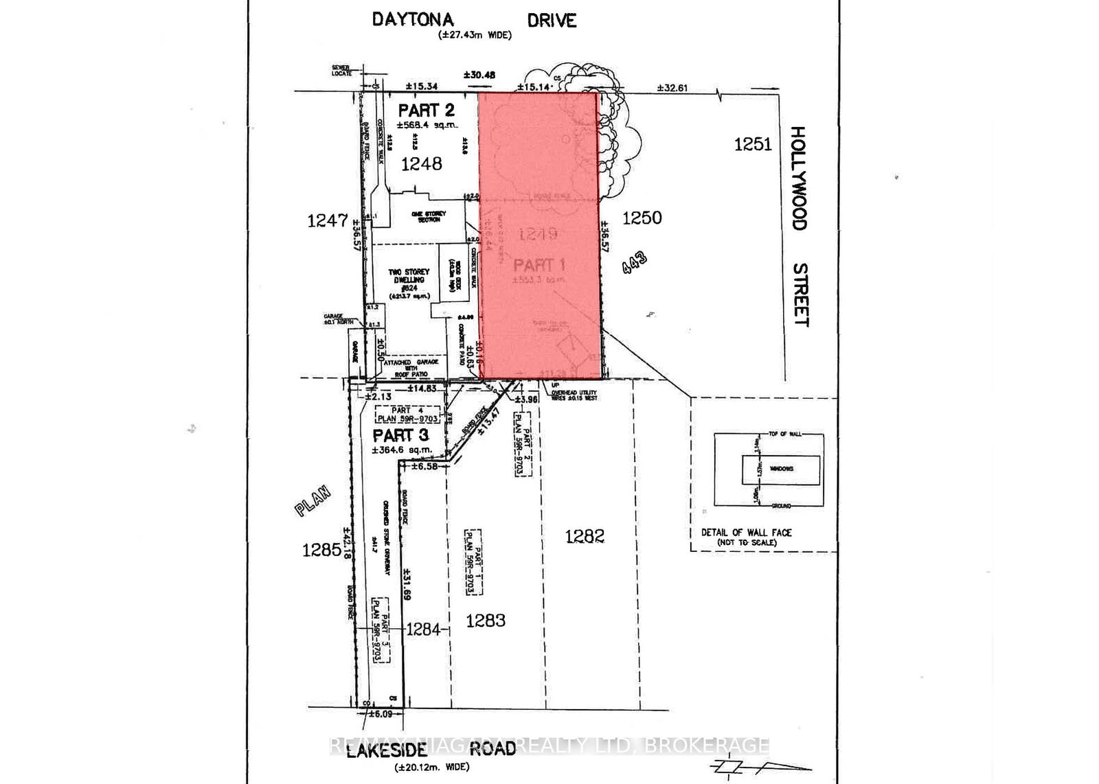
49.61 x 119.98 ft lot
PROPERTY HISTORY
SIGN IN REQUIRED
List Date List Price Last Status Sold Date Sold Price Days On Market
0000-00-00 $00000 Exp N/A N/A N/A
0000-00-00 $00000 Exp N/A N/A N/A
0000-00-00 $00000 Exp N/A N/A N/A

Listed by Re/Max Niagara Realty Ltd, Brokerage.

624-LT1 DAYTONA Drive is a Vacant Land, Other and is currently for Sale @ $290,000. Taxes in 2025 were $1.00.

More homes for sale under 300k in Fort Erie

50'x120' Building lot in the heart of Crescent Park in Fort Erie. The Other on 624-LT1 DAYTONA Drive has 0 bedrooms, 0 bathrooms, and is located on a 119.98 x 49.61 ft loton < .50 acres in the community of Crescent Park . Driveway access from Lakeside Rd right-of-way easement - Part 3 on Severance Sketch. Located within walking distance are two elementary schools, a high school, the Leisureplex arenas and community center, Ferndale Park with a splash pad and soccer fields and the shores of Lake Erie. There are plenty of stores, restaurants and amenities along Garrison Rd / Hwy #3 as well as access to the QEW highway to Niagara Falls, Toronto and the Peace Bridge to USA.

The address 624-LT1 DAYTONA Drive was listed for sale (MLS# X12943276) on Tuesday, March 31, 2026.

WHAT'S YOUR HOME WORTH?

Click here to get an instant estimate and track its value over time.

  • Date Listed: Tuesday, March 31, 2026
  • Listing Brokerage: Re/Max Niagara Realty Ltd, Brokerage - Disclaimer: The information contained in this listing has not been verified by Re/Max Niagara Realty Ltd, Brokerage and should be verified by the buyer.
  • City: Fort Erie

    More bachelor bedroom homes for sale in Fort Erie

  • Neighbourhood: Crescent Park
  • Major Intersection: Garrison Rd
  • Full Address: 624-LT1 DAYTONA Drive, Fort Erie, L2A 4Z4, Canada, ON, Canada
  • Amenities:
  • Taxes: $1.00 (2025)

Recently sold comparables in Crescent Park

Similar homes for sale

WHAT'S YOUR HOME WORTH?

Click here to get an instant estimate and track its value over time.